- Apr 22: EXTENDED to 22 Apr;Closure:30 Mar-22 Apr 2026; 07:30-17:00; Clearway Parking Zone; Hatchs Hill, Steamers Hill and Angarrack Lane (3 days)
- Apr 24: Mobile Library | Friday 24 Apr 2026 (5 days)
- May 22: Mobile Library | Friday 22 May 2026 (33 days)
- Jun 19: Mobile Library | Friday 19 Jun 2026 (61 days)
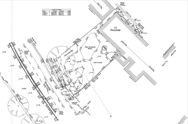
WITHDRAWN: PA21/02265 | Outline planning permission: Construction Dwelling House | Land North West Of 13 Riverside
Submitted by Cornwall Counci... on Mon, 08/11/2021 - 11:56.
Application number: PA21/02265 - Withdrawn
Town And Country Planning Act 1990 (as amended)
Town And Country Planning (General Development Procedure) (England) Order
2015
Confirmation of Withdrawn Application
Outline planning permission with all matters reserved: Construction of Dwelling
House and Associated Works
at
Land North West Of 13
Riverside
Angarrack
Cornwall
TR27 5JD
CORNWALL COUNCIL, hereby confirms that the above mentioned application has been
Withdrawn.
DATED: 1 November 2021
Outline planning permission with all matters reserved: Construction of Dwelling House and Associated Works - 13 Riverside Angarrack TR27 5JD
Ref. No: PA21/02265 | Received date: Wed 03 Mar 2021 | Status: Pending Consideration | Case Type: Planning Application| Application Type | Outline Application |
|---|---|
| Expected Decision Level | |
| Case Officer | Catherine Bray |
| Parish | Hayle |
| Ward | Hayle South |
| District Reference | |
| Applicant Name | Mr S Harris |
| Agent Name | Cornwall Planning Group |
| Agent Company Name | Cornwall Planning Group |
| Agent Address | Chi Gallos Marine Renewables Business Park North Quay Hayle Cornwall TR27 4DD |
| Envi |
| | Date Published | Document Type | Measure | Drawing Number | Description | View |
|---|---|---|---|---|---|---|
| 19 Mar 2021 | Plan - Site and Block | | 001A | | ||
| 18 Mar 2021 | Statement - Design and Access | | WITH HERITAGE | | ||
| 03 Mar 2021 | Plan - Site Levels | | 002 | EXISTING TOPOGRAPHICAL SURVEY | | |
| 03 Mar 2021 | Plan - Proposed Mixed | | 003 | PROPOSED FLOOR/ROOF PLANS, SECTIONS AND ELEVATIONS | | |
| 03 Mar 2021 | Assessment - Flood Risk | | FLOOD RISK ASSESSMENT | | ||
| 03 Mar 2021 | Application Form | | APPLICATION FORM | |
- Printer-friendly version
- Login or register to post comments
- Permalink
Contributions
- Angarrack Defibrillator Team (25)
- Angarrack Inn (336)
- Angarrack Methodist Chapel (3)
- Carol (15)
- Gail (1)
- GordonG (12)
- Hayle Development Group on Facebook (5)
- Hayle Harbour Authority (4)
- Hayle Town Council (5)
- louise (1)
- Lynne (111)
- Mal (1)
- MattBuckley66 (9)
- Neil (22)
- Neils Garden Care (9)
- Russell (21)
- Secretary - Christmas Lights (141)
- Steve (3)
- webmaster (5122)
Book page
Similar
- PA21/07016 | Creation of a driveway and turning space | 21 Steamers Hill Angarrack Hayle Cornwall TR27 5JB
- PA21/06514 | Listed Building Consent: Replacement conservatory / orangery - Millbrook 2 Hatchs Hill Angarrack Hayle Cornwall TR2
- PA21/06511 | Replacement conservatory / orangery - Millbrook 2 Hatchs Hill Angarrack Hayle Cornwall TR27 5HY
- 210721 | Upset over bid to build 40 new homes in village 'changed beyond recognition'
- PA21/01950/PREAPP | Pre-application advice for the construction of a 2 storey dwelling with attached garage/utility | 10 Hatchs
Similar across site
- WITHDRAWN: PA21/02265 | Outline planning permission: Construction Dwelling House | Land North West Of 13 Riverside
- PA21/02265 | Outline planning permission all matters reserved: Construction Dwelling House | Land North West Of 13 Riverside
- 210805 | Flooding report Riverside - EDS 2021 | Updated | via PA21/02265
- PA21/07016 | Creation of a driveway and turning space | 21 Steamers Hill Angarrack Hayle Cornwall TR27 5JB
- PA21/06514 | Listed Building Consent: Replacement conservatory / orangery - Millbrook 2 Hatchs Hill Angarrack Hayle Cornwall TR2








Recent comments
11 weeks 3 days ago
16 weeks 3 days ago
16 weeks 3 days ago
31 weeks 3 days ago
51 weeks 17 hours ago
51 weeks 18 hours ago
51 weeks 18 hours ago
51 weeks 18 hours ago
1 year 20 weeks ago
1 year 35 weeks ago